KMcCue


Joined 10 Dec 2017



Page 1 of 2

27

Apocrita (suborder) (Unidentified wasp)

Austroscolia soror (Blue Flower Wasp)

Bothriomutilla rugicollis (Mutillid wasp or velvet ant)

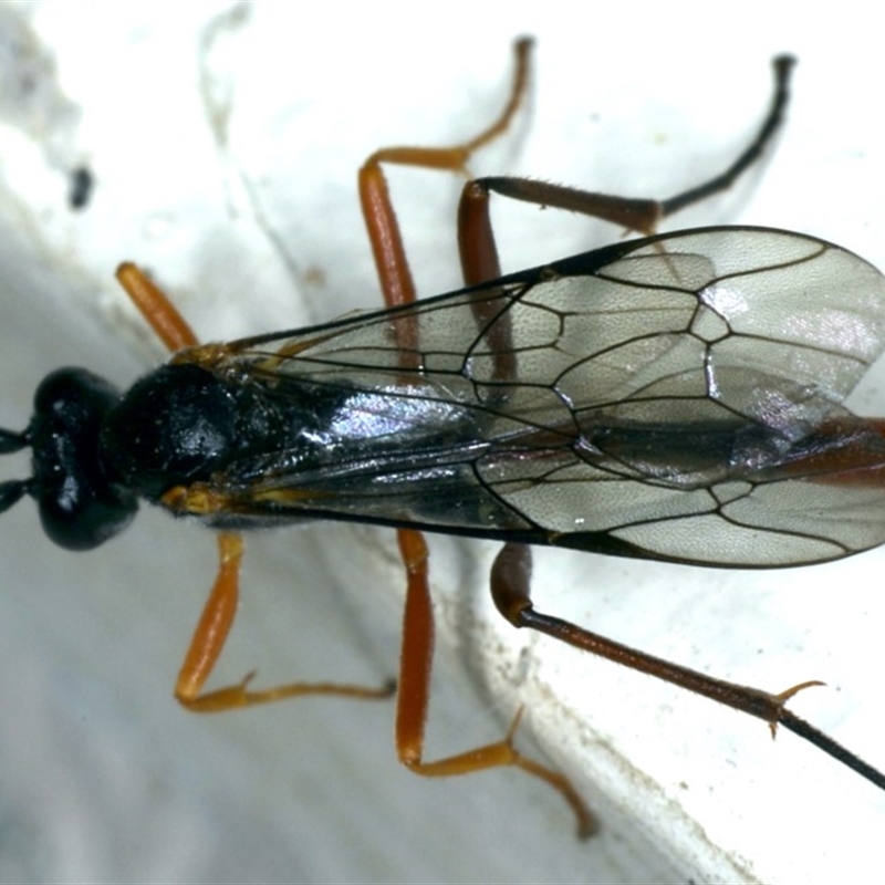
Braconidae (family) (Unidentified braconid wasp)

Chalcidoidea (superfamily) (A gall wasp or Chalcid wasp)

Chrysididae (family) (Cuckoo wasp or Emerald wasp)

Crabroninae (subfamily) (Unidentified solitary wasp)

Diamma bicolor (Blue ant, Bluebottle ant)

FEMALE
MALE

Dusona sp. (genus) (A Campopleginae Parasitic Wasp)

Eumeninae (subfamily) (Unidentified Potter wasp)

Heteropelma scaposum (Two-toned caterpillar parasite wasp)

Ichneumonidae (family) (Unidentified ichneumon wasp)

Lissopimpla excelsa (Orchid dupe wasp, Dusky-winged Ichneumonid)

female
male
female

Podalonia tydei (Caterpillar-hunter wasp)

1  2 

831,375 sightings of 23,587 species from 15,317 members
CCA 3.0 | privacy
NatureMapr is developed by at3am IT Pty Ltd and is proudly Australian made