Syncarpia glomulifera subsp. glomulifera

Turpentine at Conjola, NSW

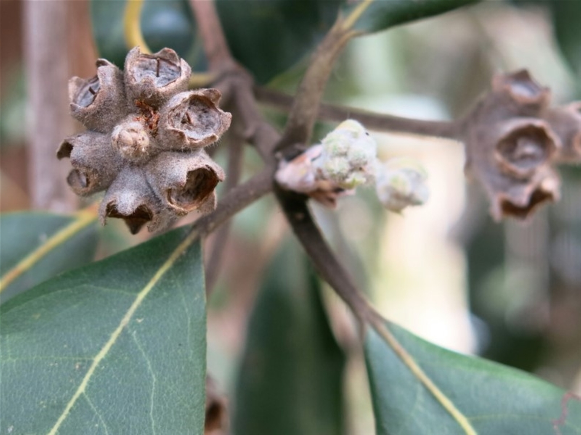
Syncarpia glomulifera subsp. glomulifera at Conjola, NSW - 26 Aug 2018 01:26 PM
Syncarpia glomulifera subsp. glomulifera at Conjola, NSW - 26 Aug 2018 01:26 PM
Syncarpia glomulifera subsp. glomulifera at Conjola, NSW - 26 Aug 2018 01:26 PM
Syncarpia glomulifera subsp. glomulifera at Conjola, NSW - 26 Aug 2018 01:26 PM
Request use of media

Identification history

Syncarpia glomulifera subsp. glomulifera 11 Sep 2018 BettyDonWood
Unverified 2 Sep 2018 Margieras
Syncarpia glomulifera subsp. glomulifera 29 Jul 2018 Margieras

Identify this sighting


Please Login or Register to identify this sighting.

1 comment

BettyDonWood wrote:
   5 Aug 2018
Could you have a look to see if there are any of the diagnostic fused ‘gumnuts’. Even a description without a photo will help. Otherwise wait till it flowers.

Please Login or Register to comment.

Location information

Sighting information

Species information

833,053 sightings of 23,606 species from 15,406 members
CCA 3.0 | privacy
NatureMapr is developed by at3am IT Pty Ltd and is proudly Australian made