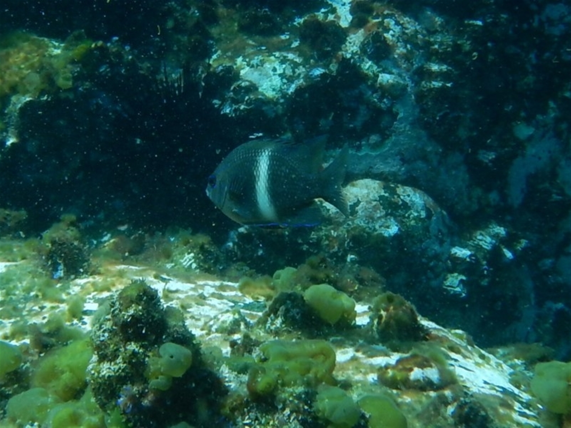
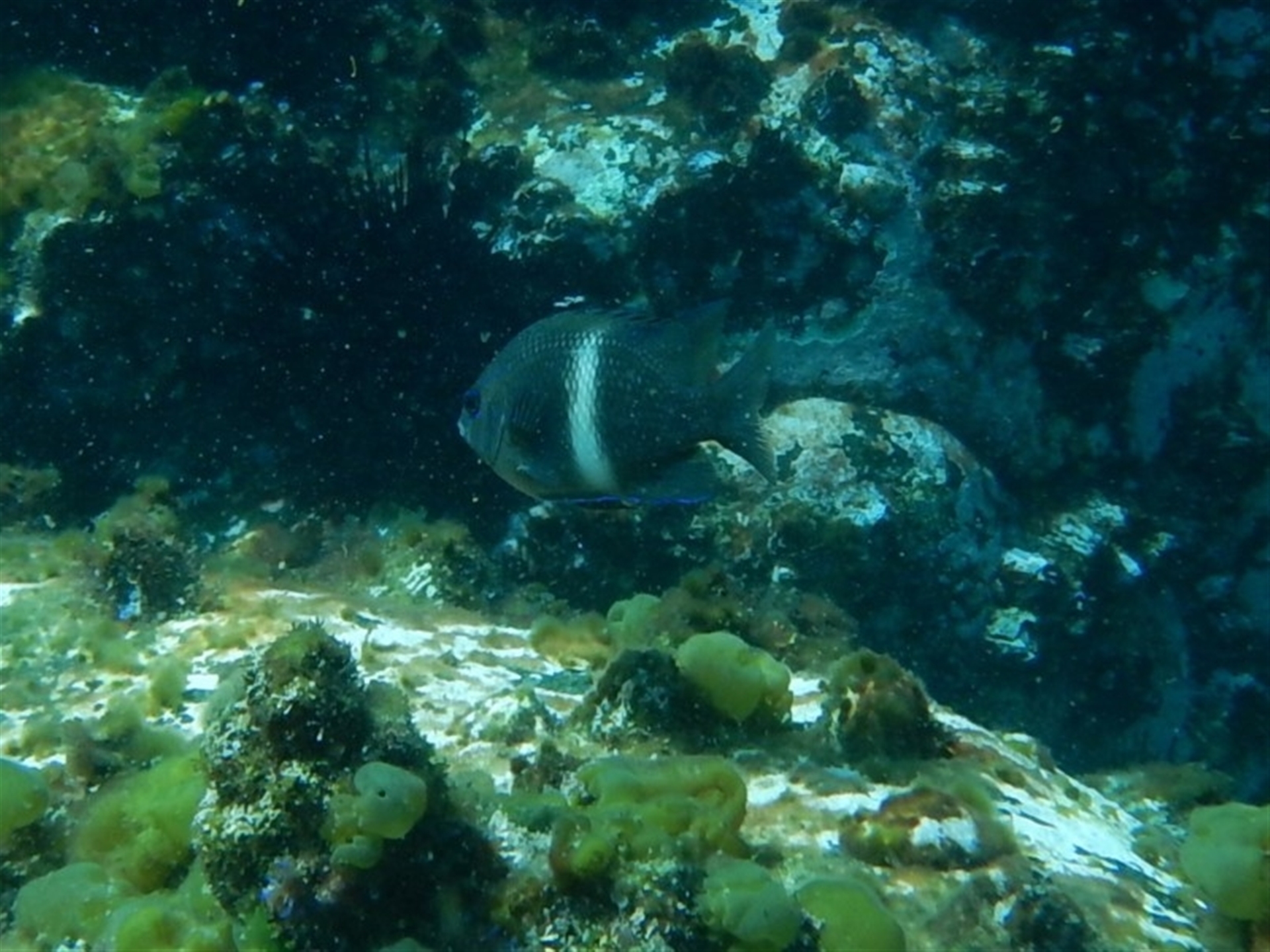
Parma unifasciata

Girdled Scalyfin at Bawley Point, NSW

Parma unifasciata at Bawley Point, NSW - 14 Nov 2019 11:01 AM
Request use of media

Identification history

Parma unifasciata 18 Apr 2025 MichaelBedingfield
Unverified 14 Nov 2019 GLemann

Identify this sighting


Please Login or Register to identify this sighting.

4 comments

AndrewG wrote:
   15 Nov 2019
The fish is Parma unifasciata. See: Aedes sp. (genus)
Sorry, I don't have time to do the endless digital "paperwork" to add the species, which is missing from the "bottom dweller" category (why these meaningless overlapping categories?).
KylieWaldon wrote:
   17 Apr 2025
this fish is listed under plants, shrubs instead of fish. :)
Tapirlord wrote:
   17 Apr 2025
   18 Apr 2025
Parma unifasciata is under Fish > Marine Fish Uncategorised

Please Login or Register to comment.

Location information

Sighting information

Species information

Record quality

  • Images or audio
  • More than one media file
  • Verified by an expert moderator
  • Nearby sighting(s) of same species
  • GPS evidence of location
  • Description
  • Additional attributes
833,050 sightings of 23,606 species from 15,405 members
CCA 3.0 | privacy
NatureMapr is developed by at3am IT Pty Ltd and is proudly Australian made