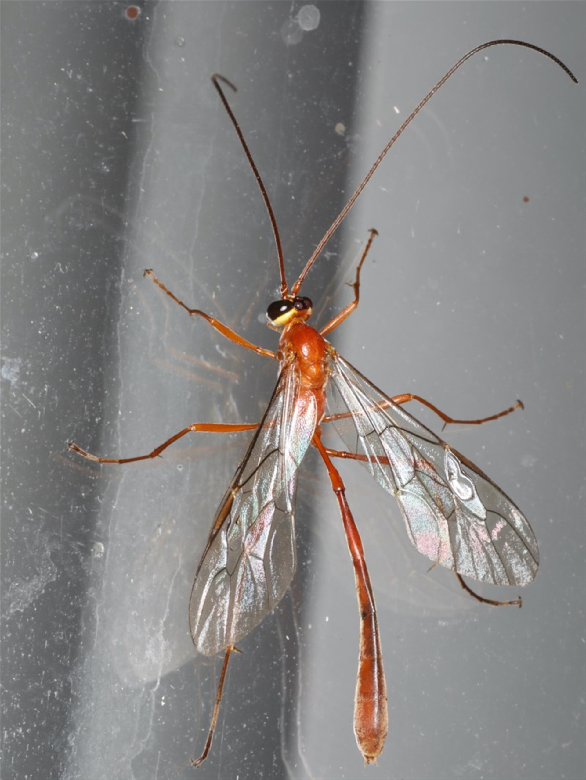
Dicamptus fuscicornis

Ichneumon wasp at Lilli Pilli, NSW

Dicamptus fuscicornis at Lilli Pilli, NSW - 4 Jun 2020 03:38 AM
Dicamptus fuscicornis at Lilli Pilli, NSW - 4 Jun 2020 03:38 AM
Dicamptus fuscicornis at Lilli Pilli, NSW - 4 Jun 2020 03:38 AM
Dicamptus fuscicornis at Lilli Pilli, NSW - 4 Jun 2020 03:38 AM
Request use of media

Identification history

Dicamptus fuscicornis 12 Apr 2024 MichaelBedingfield
Dicamptus fuscicornis 4 Jun 2020 jb2602

Identify this sighting


Please Login or Register to identify this sighting.

User's notes

See Australian Ophioninae, Gauld. P 46, 49. Fig 111 shows fenestra.

1 comment

GrahamH wrote:
   15 Apr 2024

Please Login or Register to comment.

Location information

Sighting information

Species information

Record quality

  • Images or audio
  • More than one media file
  • Verified by an expert moderator
  • Nearby sighting(s) of same species
  • GPS evidence of location
  • Description
  • Additional attributes
832,404 sightings of 23,601 species from 15,367 members
CCA 3.0 | privacy
NatureMapr is developed by at3am IT Pty Ltd and is proudly Australian made