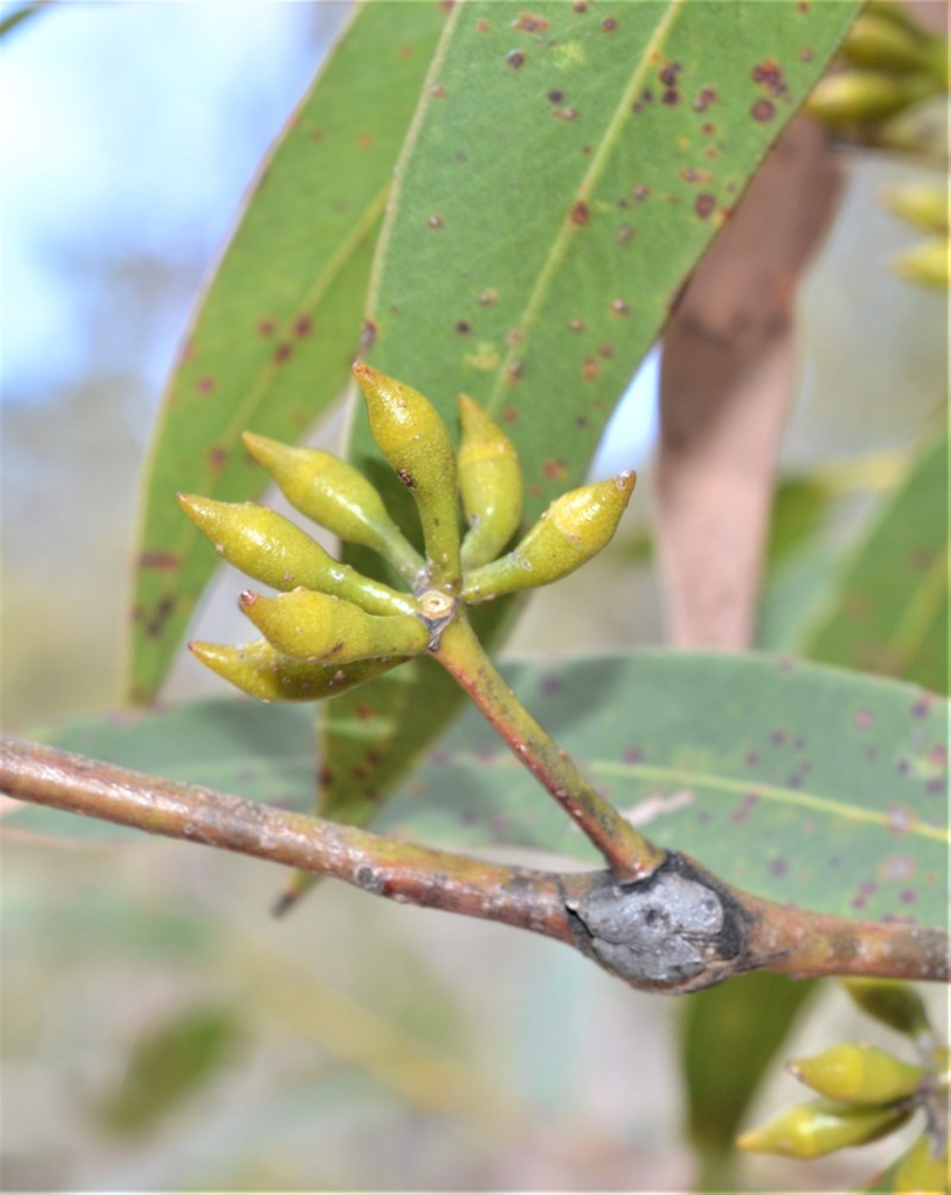
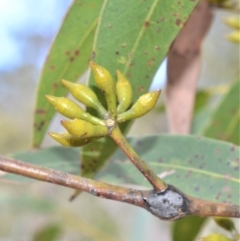
Eucalyptus pilularis

Blackbutt at Bamarang, NSW

Eucalyptus pilularis at Bamarang, NSW - 7 Aug 2020 12:24 AM
Eucalyptus pilularis at Bamarang, NSW - 7 Aug 2020 12:24 AM
Eucalyptus pilularis at Bamarang, NSW - 7 Aug 2020 12:24 AM
Eucalyptus pilularis at Bamarang, NSW - 7 Aug 2020 12:24 AM
Request use of media

Identification history

Eucalyptus pilularis 7 Aug 2020 plants

Identify this sighting


Please Login or Register to identify this sighting.

Be the first to comment


Please Login or Register to comment.

Location information

Sighting information

Species information

  • Eucalyptus pilularis Scientific name
  • Blackbutt Common name
  • Not Sensitive
  • Local native
  • Non-invasive or negligible
  • Up to 762.26m Recorded at altitude
  • In flower
831,725 sightings of 23,590 species from 15,335 members
CCA 3.0 | privacy
NatureMapr is developed by at3am IT Pty Ltd and is proudly Australian made