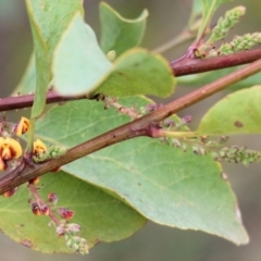
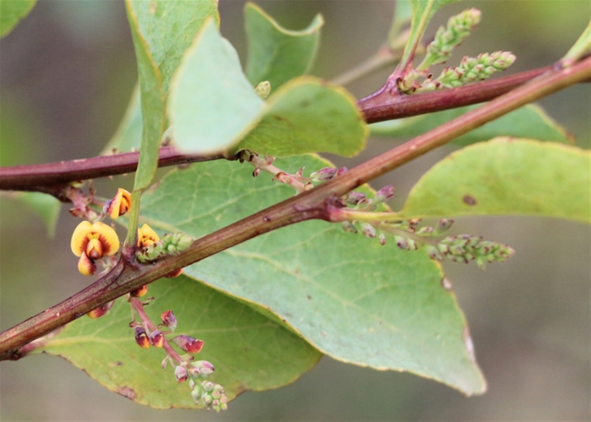
Daviesia latifolia

Hop Bitter-Pea at Wodonga, VIC

Daviesia latifolia at Wodonga, VIC - 7 Aug 2021 12:31 PM
Daviesia latifolia at Wodonga, VIC - 7 Aug 2021 12:31 PM
Daviesia latifolia at Wodonga, VIC - 7 Aug 2021 12:31 PM
Daviesia latifolia at Wodonga, VIC - 7 Aug 2021 12:31 PM
Daviesia latifolia at Wodonga, VIC - 7 Aug 2021 12:31 PM
Request use of media

Identification history

Daviesia latifolia 8 Aug 2021 ClaireSee
Pultenaea (genus) 7 Aug 2021 KylieWaldon
Unverified 7 Aug 2021 KylieWaldon

Identify this sighting


Please Login or Register to identify this sighting.

User's notes

Only just started to come out. Don't remember this from when I started last year in september bushwalking this area.

Be the first to comment


Please Login or Register to comment.

Location information

Sighting information

Additional information

  • 5mm Flower dimension
  • 1 metre to 5 metres Plant height
  • True In flower

Species information

Record quality

  • Images or audio
  • More than one media file
  • Verified by an expert moderator
  • Nearby sighting(s) of same species
  • GPS evidence of location
  • Description
  • Additional attributes
832,621 sightings of 23,602 species from 15,379 members
CCA 3.0 | privacy
NatureMapr is developed by at3am IT Pty Ltd and is proudly Australian made