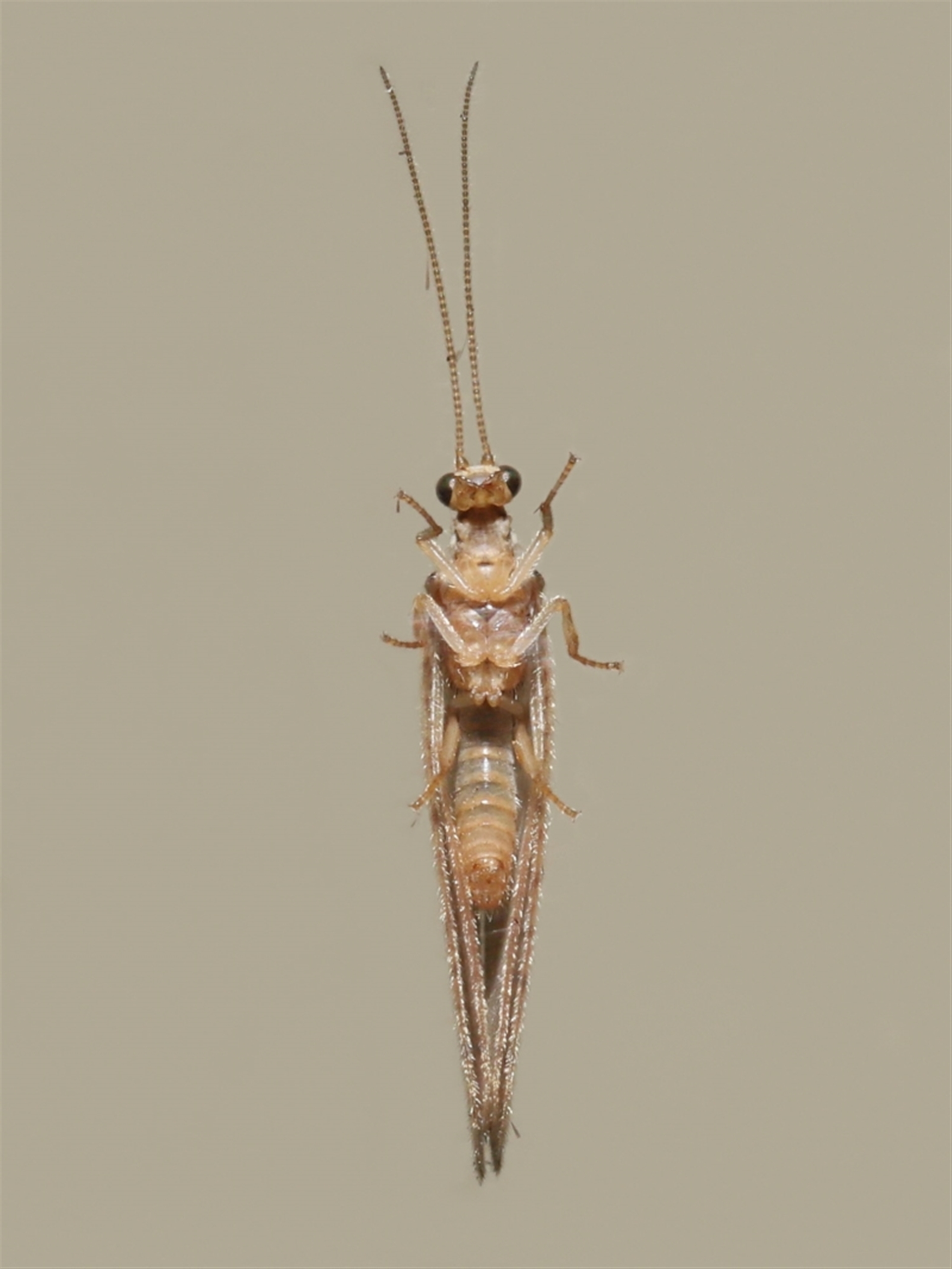
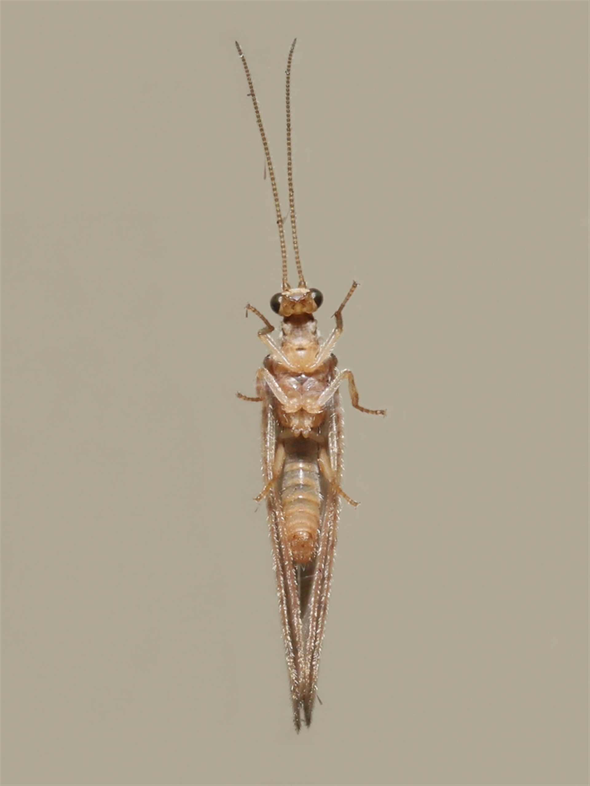
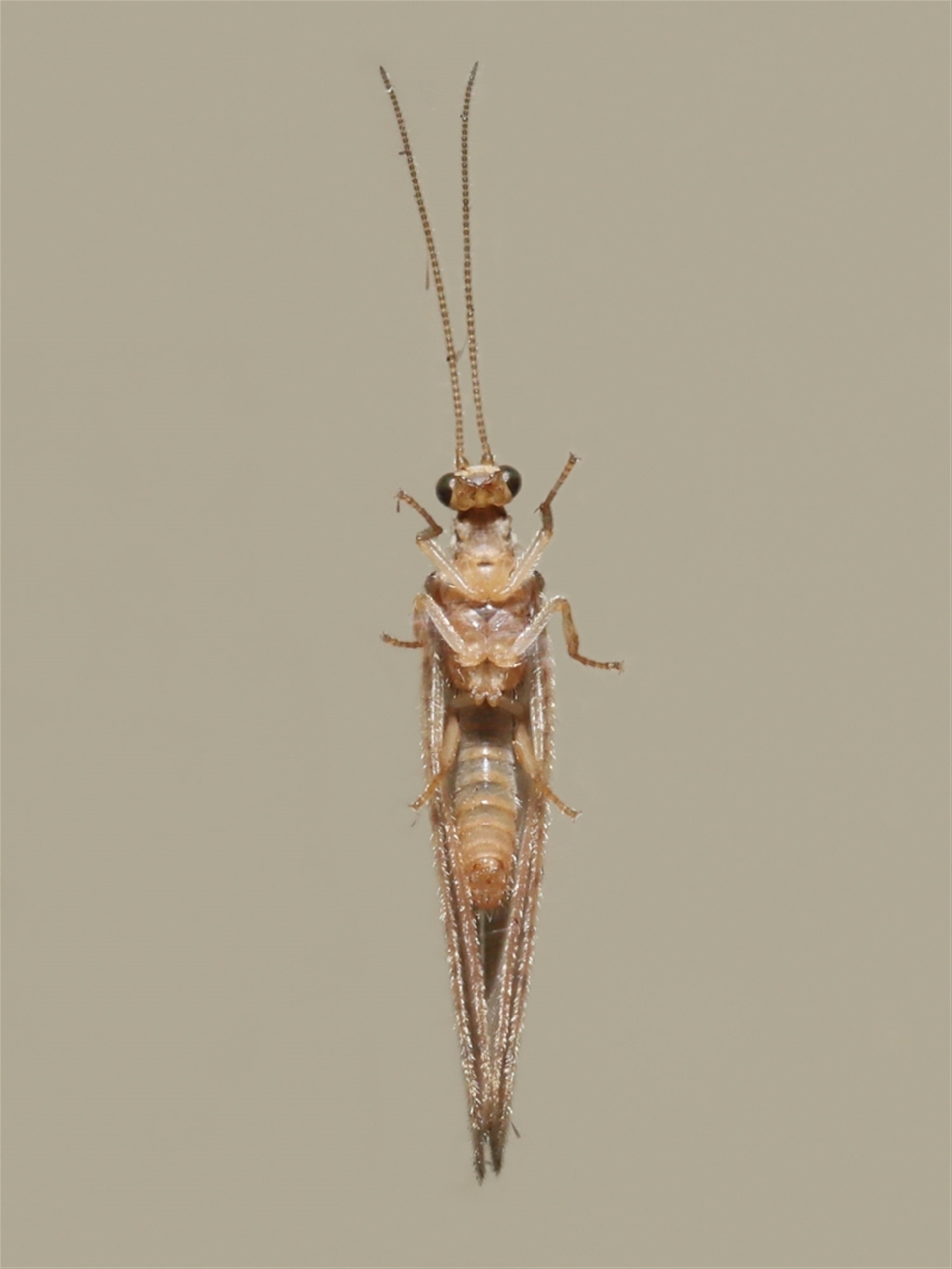
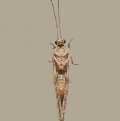
Micromus tasmaniae

Tasmanian Brown Lacewing at Wellington Point, QLD

Micromus tasmaniae at Wellington Point, QLD - suppressed
Micromus tasmaniae at Wellington Point, QLD - suppressed
Micromus tasmaniae at Wellington Point, QLD - suppressed
Micromus tasmaniae at Wellington Point, QLD - suppressed
Micromus tasmaniae at Wellington Point, QLD - suppressed
Request use of media

Identification history

Micromus tasmaniae 13 Jan 2026 MichaelMulvaney
Unverified 25 Sep 2023 TimL

Identify this sighting


Please Login or Register to identify this sighting.

User's notes

Animal size includes the antennae. Additional close-up detail is provided in following sighting 4511701 to help with identification.

Be the first to comment


Please Login or Register to comment.

Location information

Sighting information

Additional information

  • 12mm to 25mm Animal size
  • Alive / healthy Animal health

Species information

Record quality

  • Images or audio
  • More than one media file
  • Verified by an expert moderator
  • Nearby sighting(s) of same species
  • GPS evidence of location
  • Description
  • Additional attributes
832,882 sightings of 23,606 species from 15,394 members
CCA 3.0 | privacy
NatureMapr is developed by at3am IT Pty Ltd and is proudly Australian made