Unverified

Can you identify this sighting?

Unverified at suppressed - suppressed
Unverified at suppressed - suppressed
Unverified at suppressed - suppressed
Unverified at suppressed - suppressed
Unverified at suppressed - suppressed
Request use of media

Identification history

Unverified 4 Dec 2023 TimL

Identify this sighting


Please Login or Register to identify this sighting.

User's notes

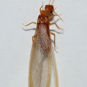
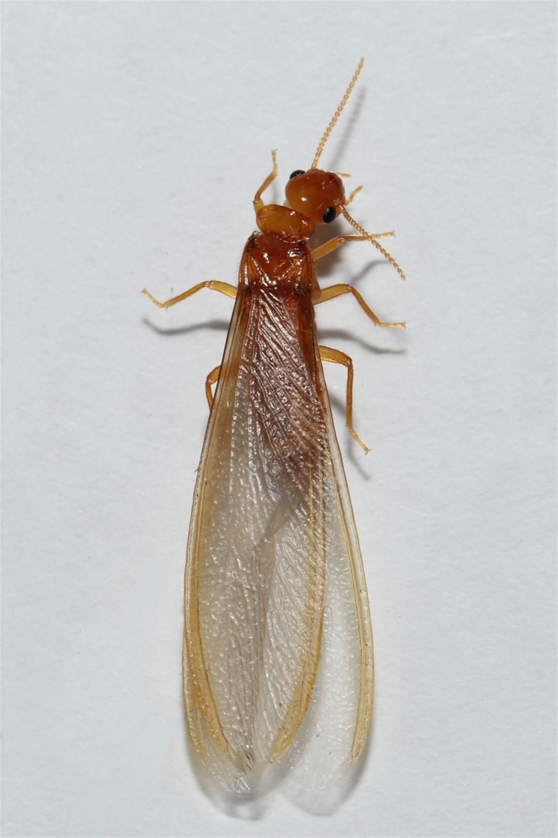
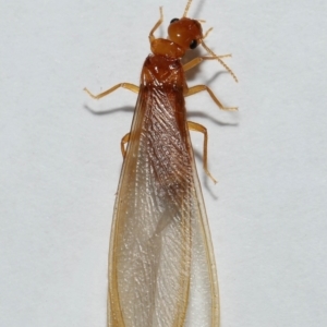
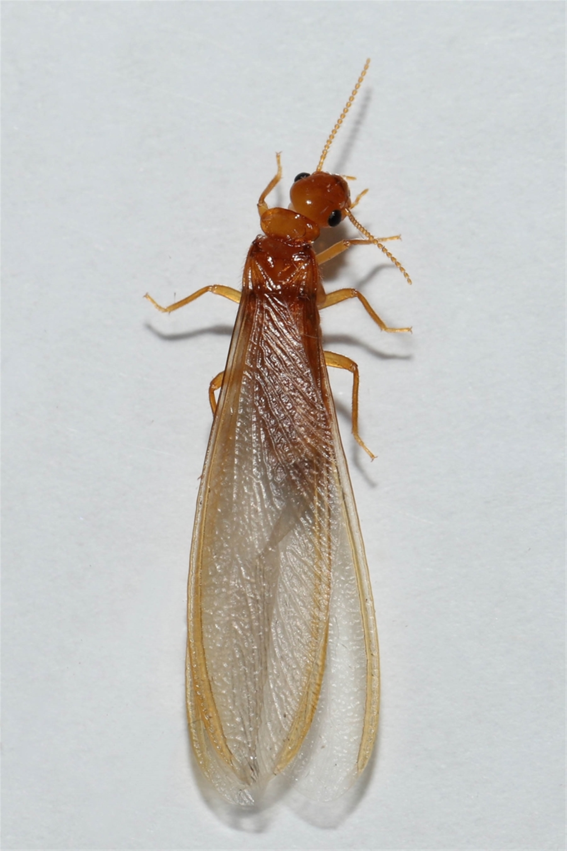
The images show two male winged termites, possibly Zootermopsis angusticollis. Additional close-up detail is provided in following sighting 4533114 to help with identification.

Be the first to comment


Please Login or Register to comment.

Sighting information

Additional information

  • 12mm to 25mm Animal size
  • Alive / healthy Animal health

Record quality

  • Images or audio
  • More than one media file
  • Verified by an expert moderator
  • Nearby sighting(s) of same species
  • GPS evidence of location
  • Description
  • Additional attributes
832,544 sightings of 23,601 species from 15,377 members
CCA 3.0 | privacy
NatureMapr is developed by at3am IT Pty Ltd and is proudly Australian made