Nepidae (family)

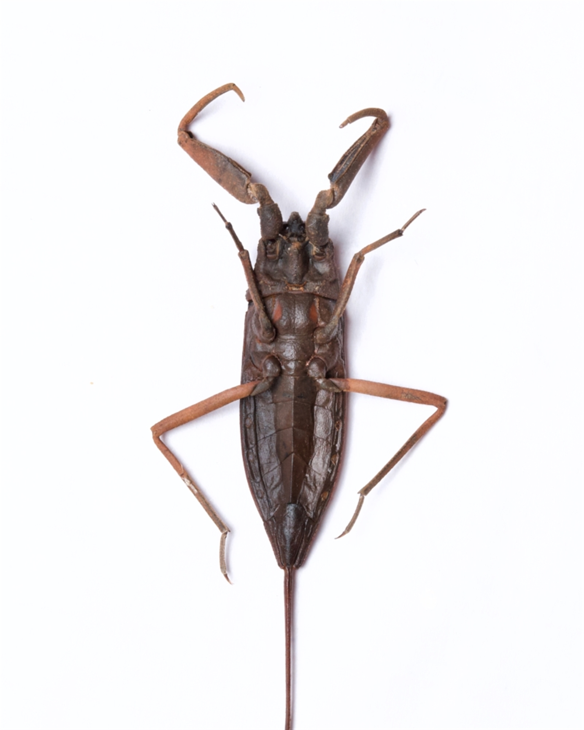
Water Scorpion at Port Macquarie, NSW

Nepidae (family) at Port Macquarie, NSW - 31 Dec 2023 05:55 PM
Nepidae (family) at Port Macquarie, NSW - 31 Dec 2023 05:55 PM
Nepidae (family) at Port Macquarie, NSW - 31 Dec 2023 05:55 PM
Nepidae (family) at Port Macquarie, NSW - 31 Dec 2023 05:55 PM
Request use of media

Identification history

Nepidae (family) 25 Mar 2025 DiBickers
Unverified 9 Jan 2024 Katbirfdsnaps

Identify this sighting


Please Login or Register to identify this sighting.

User's notes

Found deceased in pool in Port Macquarie

Be the first to comment


Please Login or Register to comment.

Location information

Sighting information

Additional information

  • 50mm or larger Animal size
  • Deceased Animal health

Species information

Record quality

  • Images or audio
  • More than one media file
  • Verified by an expert moderator
  • Nearby sighting(s) of same species
  • GPS evidence of location
  • Description
  • Additional attributes
831,681 sightings of 23,590 species from 15,333 members
CCA 3.0 | privacy
NatureMapr is developed by at3am IT Pty Ltd and is proudly Australian made