Unverified

Can you identify this sighting?

Unverified at suppressed - suppressed
Request use of media

Identification history

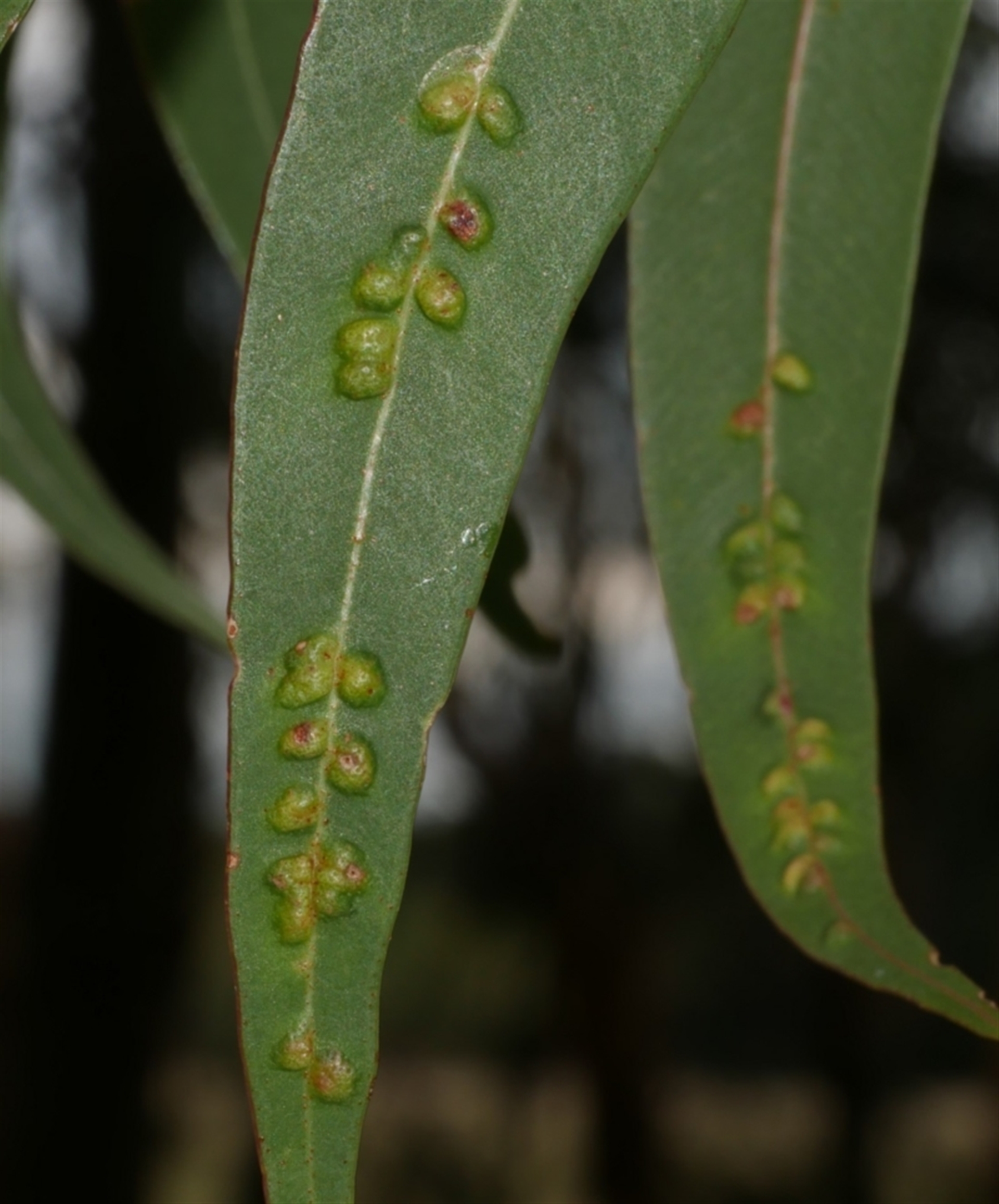
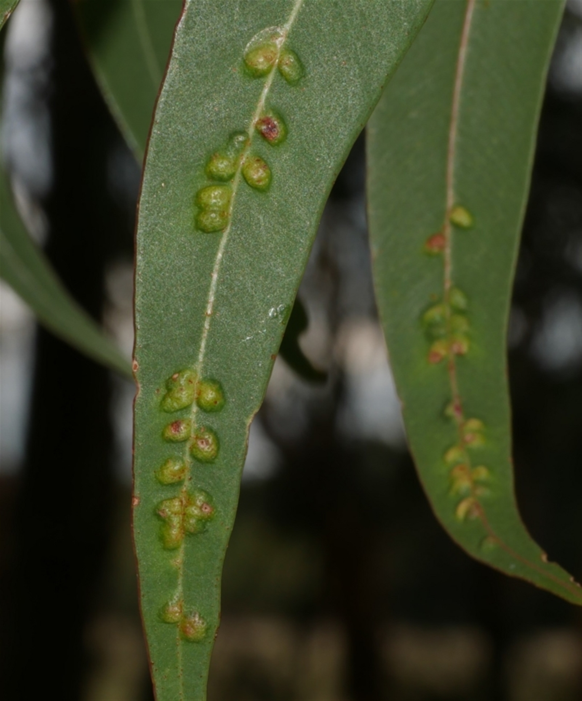
Leptocybe invasa 21 May 2024 WendyEM

Identify this sighting


Please Login or Register to identify this sighting.

Be the first to comment


Please Login or Register to comment.

Sighting information

Additional information

  • Less than 5mm Animal size
  • Alive / healthy Animal health

Record quality

  • Images or audio
  • More than one media file
  • Verified by an expert moderator
  • Nearby sighting(s) of same species
  • GPS evidence of location
  • Description
  • Additional attributes
832,605 sightings of 23,602 species from 15,379 members
CCA 3.0 | privacy
NatureMapr is developed by at3am IT Pty Ltd and is proudly Australian made