Notelaea longifolia f. longifolia

Mock Olive at Jerrawangala, NSW

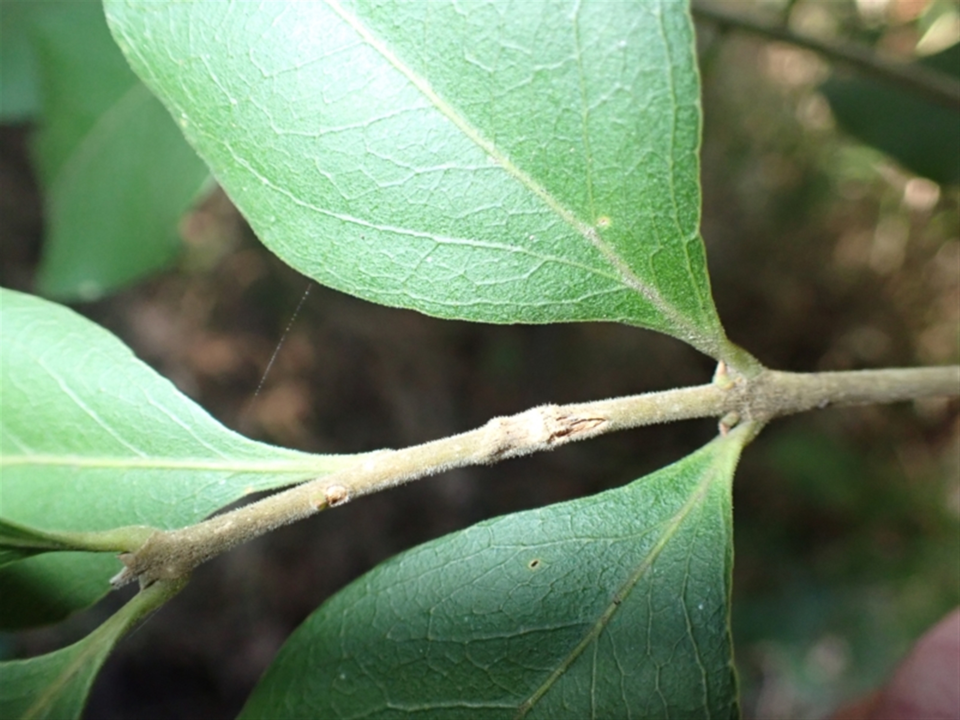
Notelaea longifolia f. longifolia at Jerrawangala, NSW - 15 Jul 2024 09:17 AM
Notelaea longifolia f. longifolia at Jerrawangala, NSW - 15 Jul 2024 09:17 AM
Request use of media

Identification history

Notelaea longifolia f. longifolia 16 Jul 2024 plants

Identify this sighting


Please Login or Register to identify this sighting.

User's notes

Plants in bud.

Be the first to comment


Please Login or Register to comment.

Location information

Sighting information

Additional information

  • 1 metre to 5 metres Plant height

Species information

Record quality

  • Images or audio
  • More than one media file
  • Verified by an expert moderator
  • Nearby sighting(s) of same species
  • GPS evidence of location
  • Description
  • Additional attributes
832,851 sightings of 23,605 species from 15,394 members
CCA 3.0 | privacy
NatureMapr is developed by at3am IT Pty Ltd and is proudly Australian made