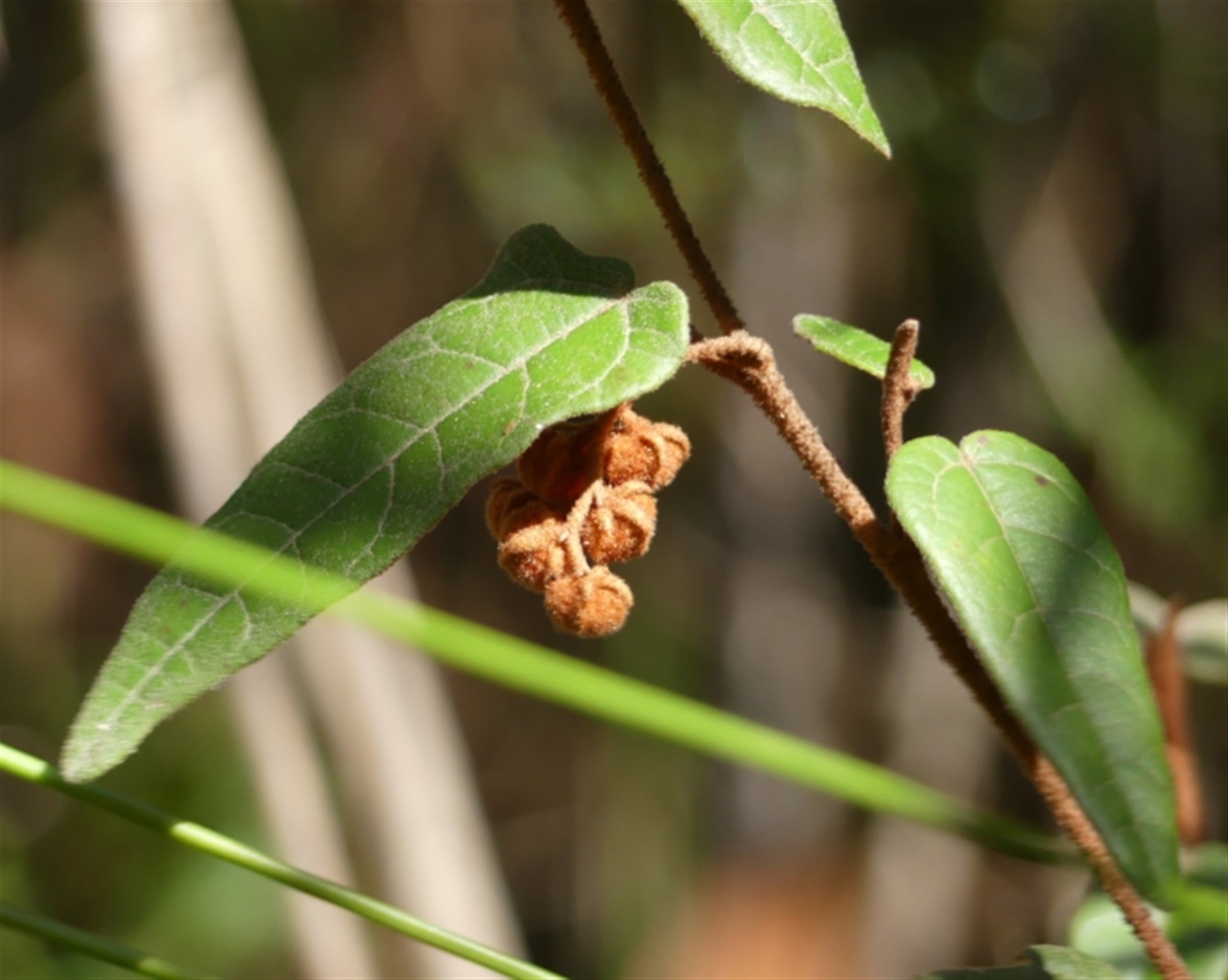
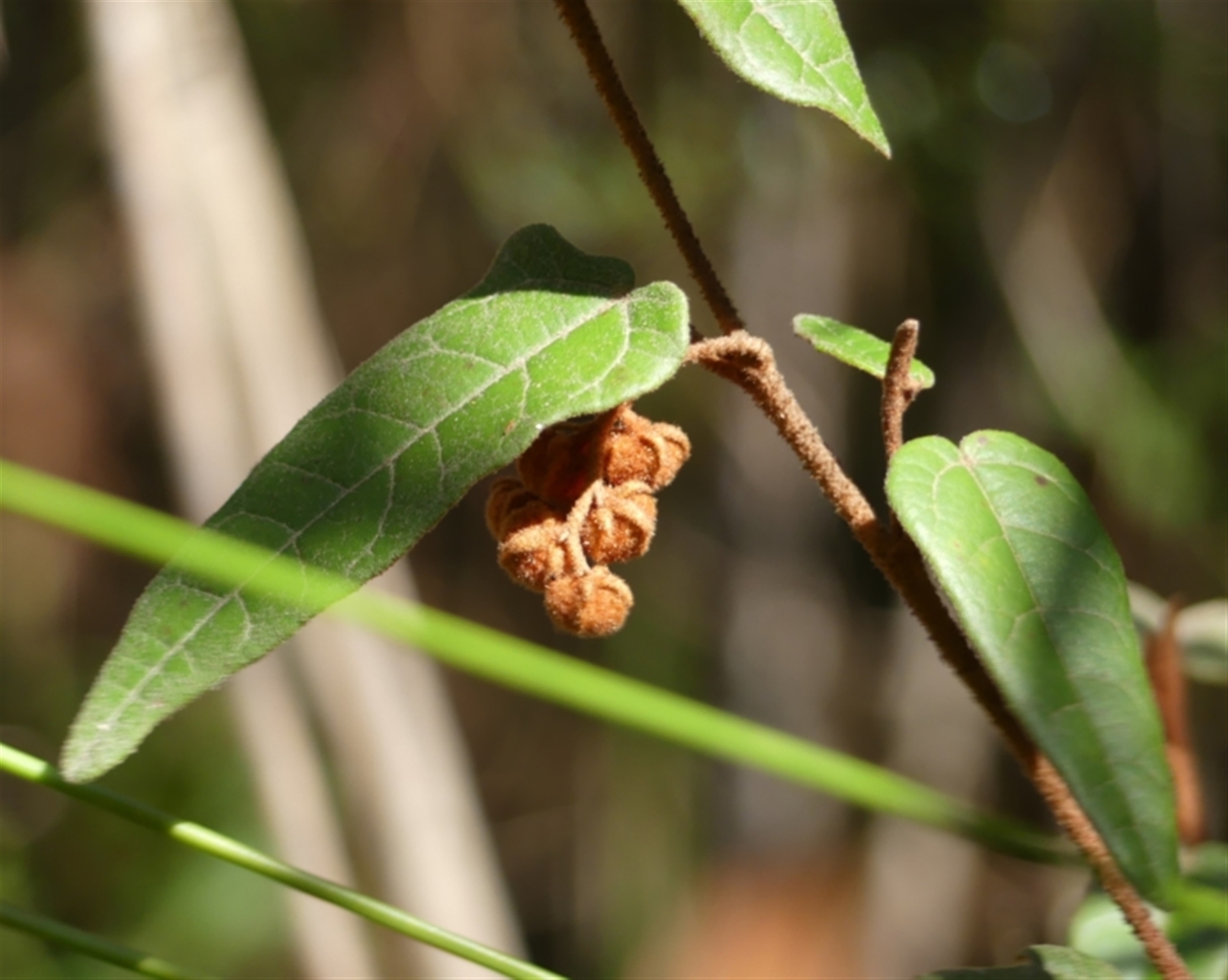
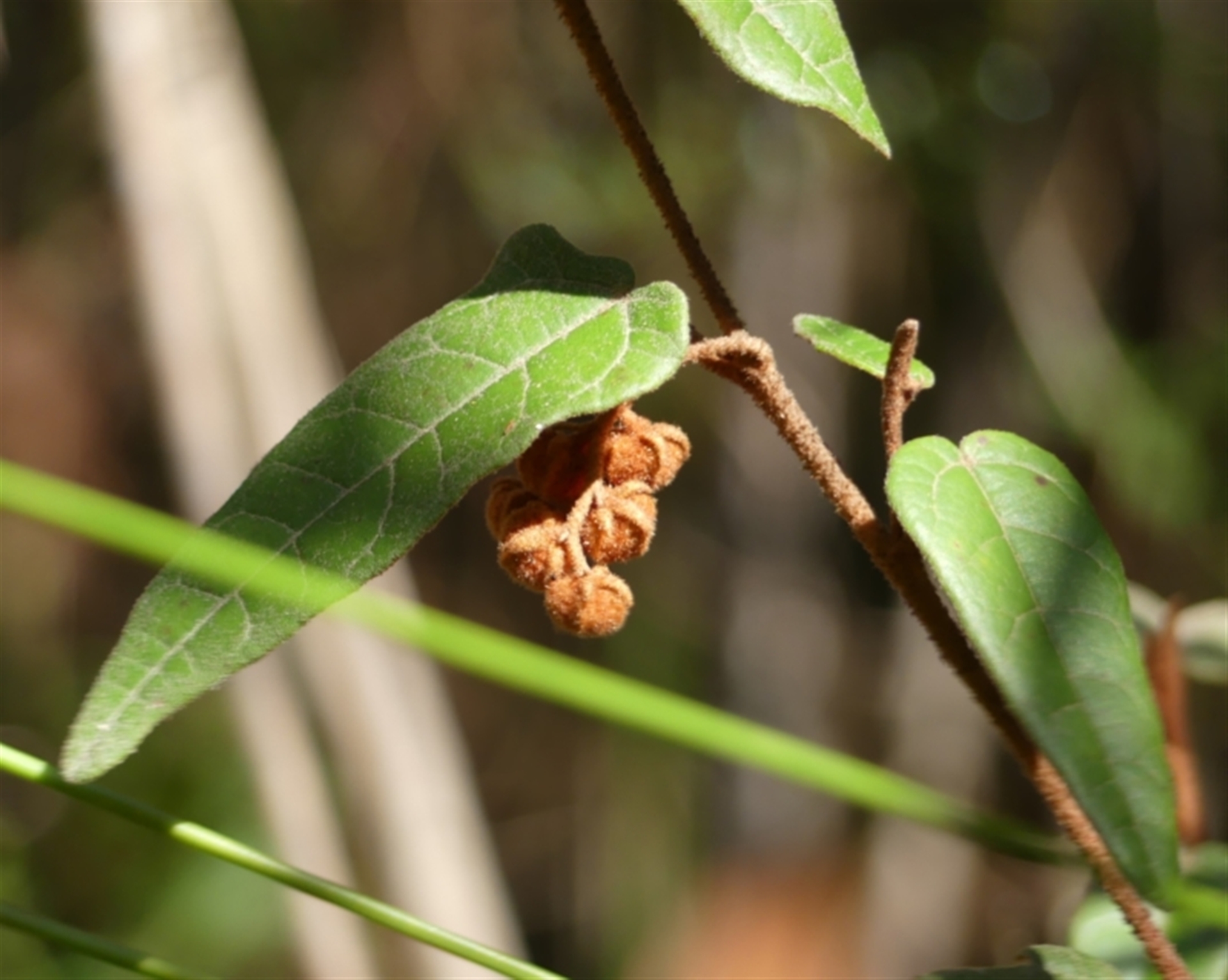
Lasiopetalum ferrugineum var. ferrugineum

2 Rusty Velvet-bush at Mittagong, NSW

Lasiopetalum ferrugineum var. ferrugineum at Mittagong, NSW - 24 Jul 2024 12:37 PM
Lasiopetalum ferrugineum var. ferrugineum at Mittagong, NSW - 24 Jul 2024 12:37 PM
Lasiopetalum ferrugineum var. ferrugineum at Mittagong, NSW - 24 Jul 2024 12:37 PM
Request use of media

Identification history

Lasiopetalum ferrugineum var. ferrugineum 25 Jul 2024 plants
Lasiopetalum ferrugineum var. ferrugineum 25 Jul 2024 Curiosity

Identify this sighting


Please Login or Register to identify this sighting.

User's notes

We saw plants at 2 locations along the track. Image 1 shows a single plant at first location and images 2 & 3 are of plants at nearby 2nd location.

Be the first to comment


Please Login or Register to comment.

Location information

Sighting information

Additional information

  • 30cm to 1 metre Plant height
  • True In flower

Species information

Record quality

  • Images or audio
  • More than one media file
  • Verified by an expert moderator
  • Nearby sighting(s) of same species
  • GPS evidence of location
  • Description
  • Additional attributes
832,783 sightings of 23,604 species from 15,389 members
CCA 3.0 | privacy
NatureMapr is developed by at3am IT Pty Ltd and is proudly Australian made