Unverified

Can you identify this sighting?

Unverified at suppressed - suppressed
Request use of media

Identification history

Unverified 24 Dec 2024 KylieWaldon

Identify this sighting


Please Login or Register to identify this sighting.

User's notes

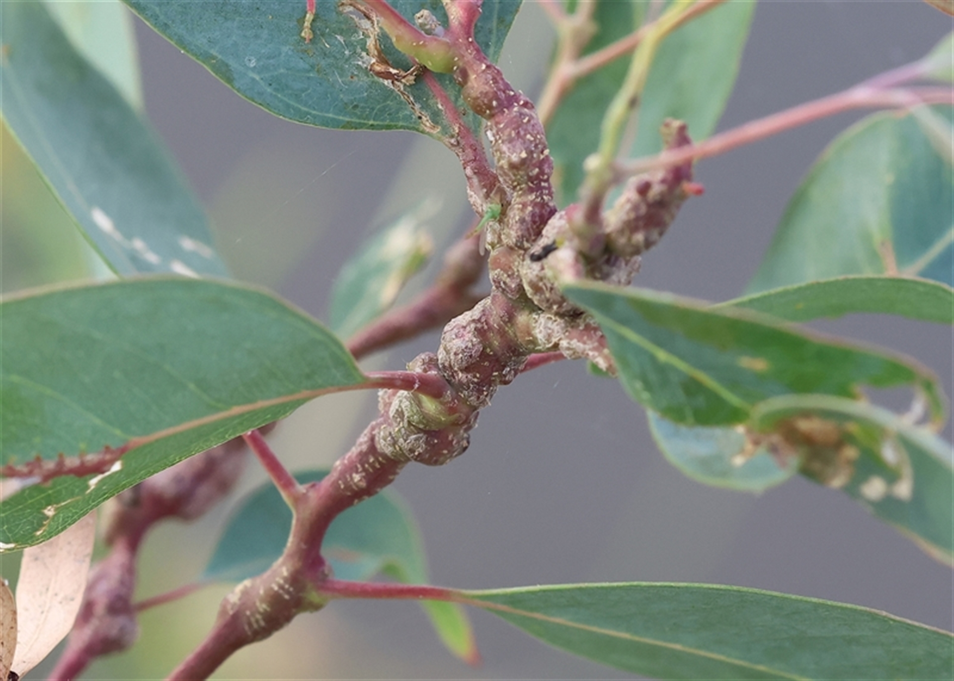
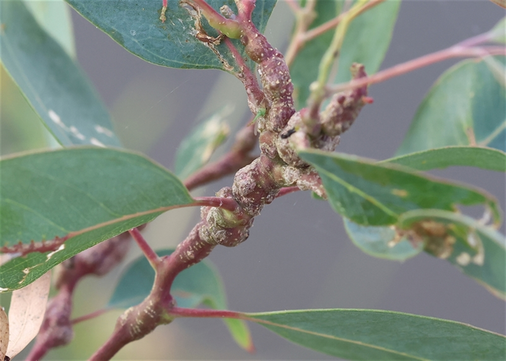
lumpy and scaly going up stems of this 40cm tall gum sapling on the edge of the water.

Be the first to comment


Please Login or Register to comment.

Sighting information

Additional information

  • gum tree sapling Associated plant
  • 5mm to 12mm Animal size
  • Alive / healthy Animal health

Record quality

  • Images or audio
  • More than one media file
  • Verified by an expert moderator
  • Nearby sighting(s) of same species
  • GPS evidence of location
  • Description
  • Additional attributes
831,907 sightings of 23,590 species from 15,342 members
CCA 3.0 | privacy
NatureMapr is developed by at3am IT Pty Ltd and is proudly Australian made