Chaetodon lunulatus

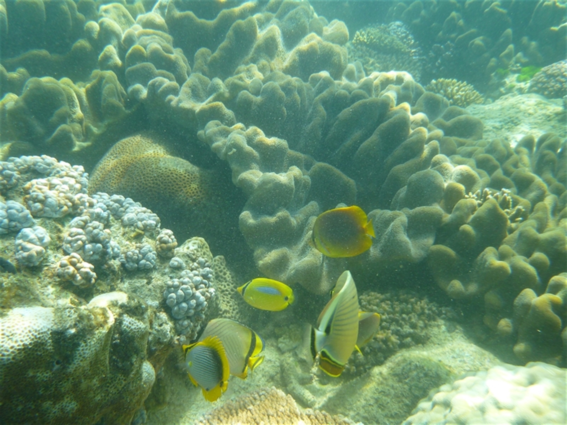
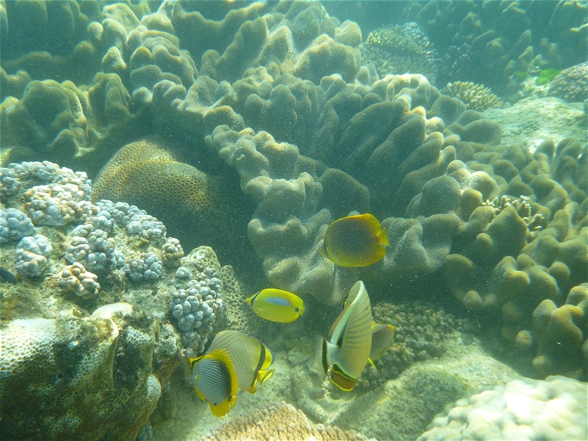
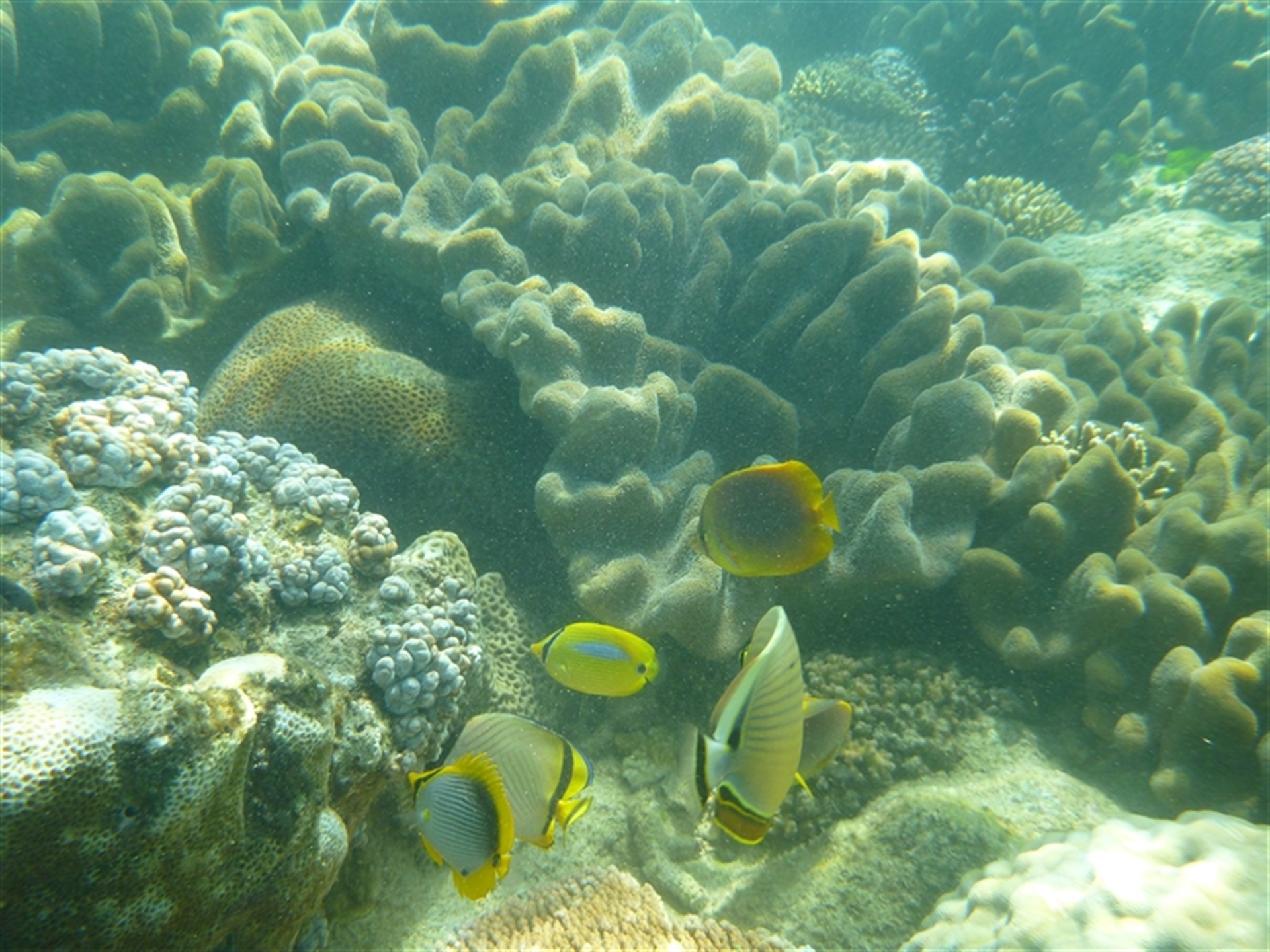
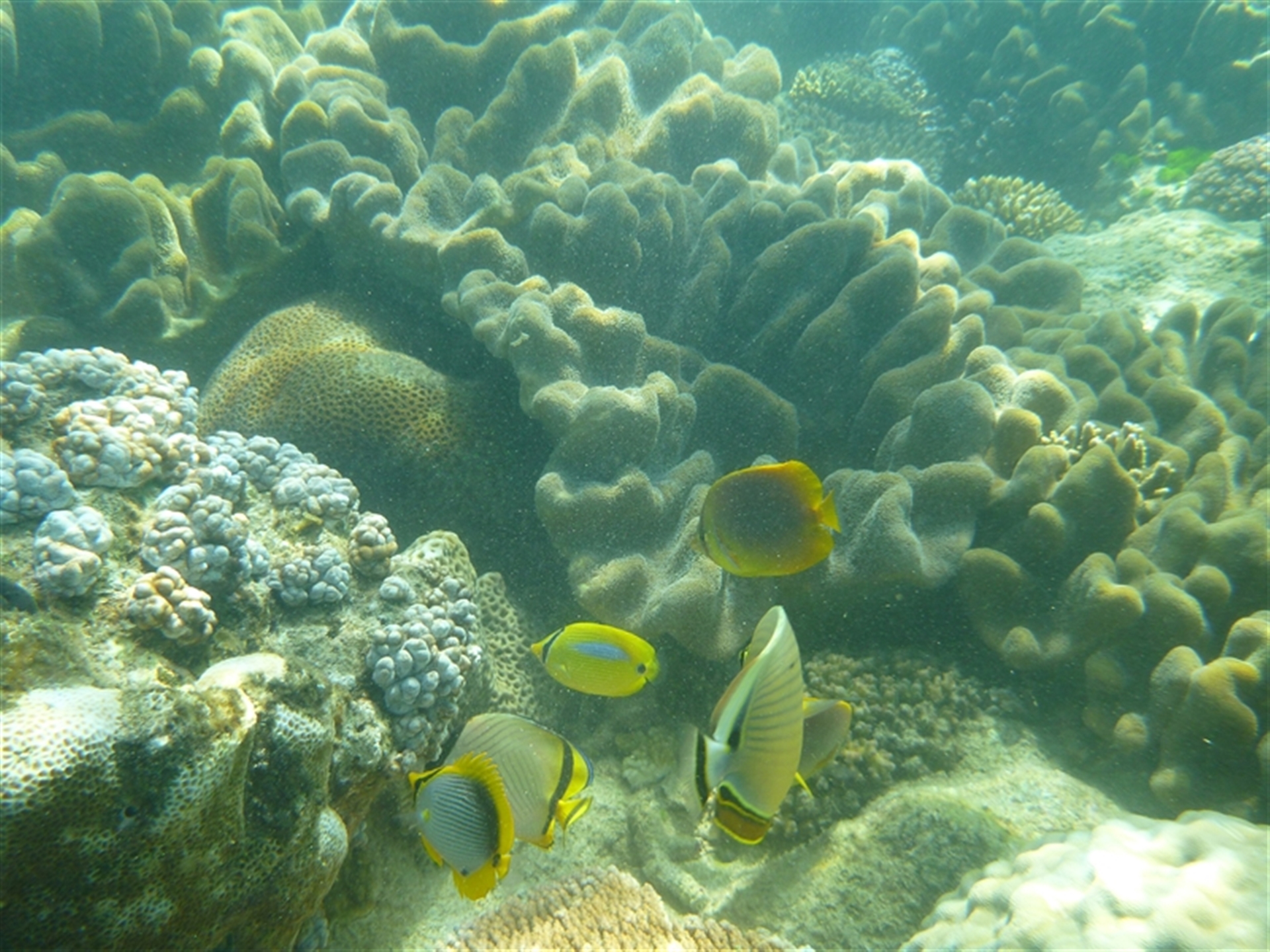
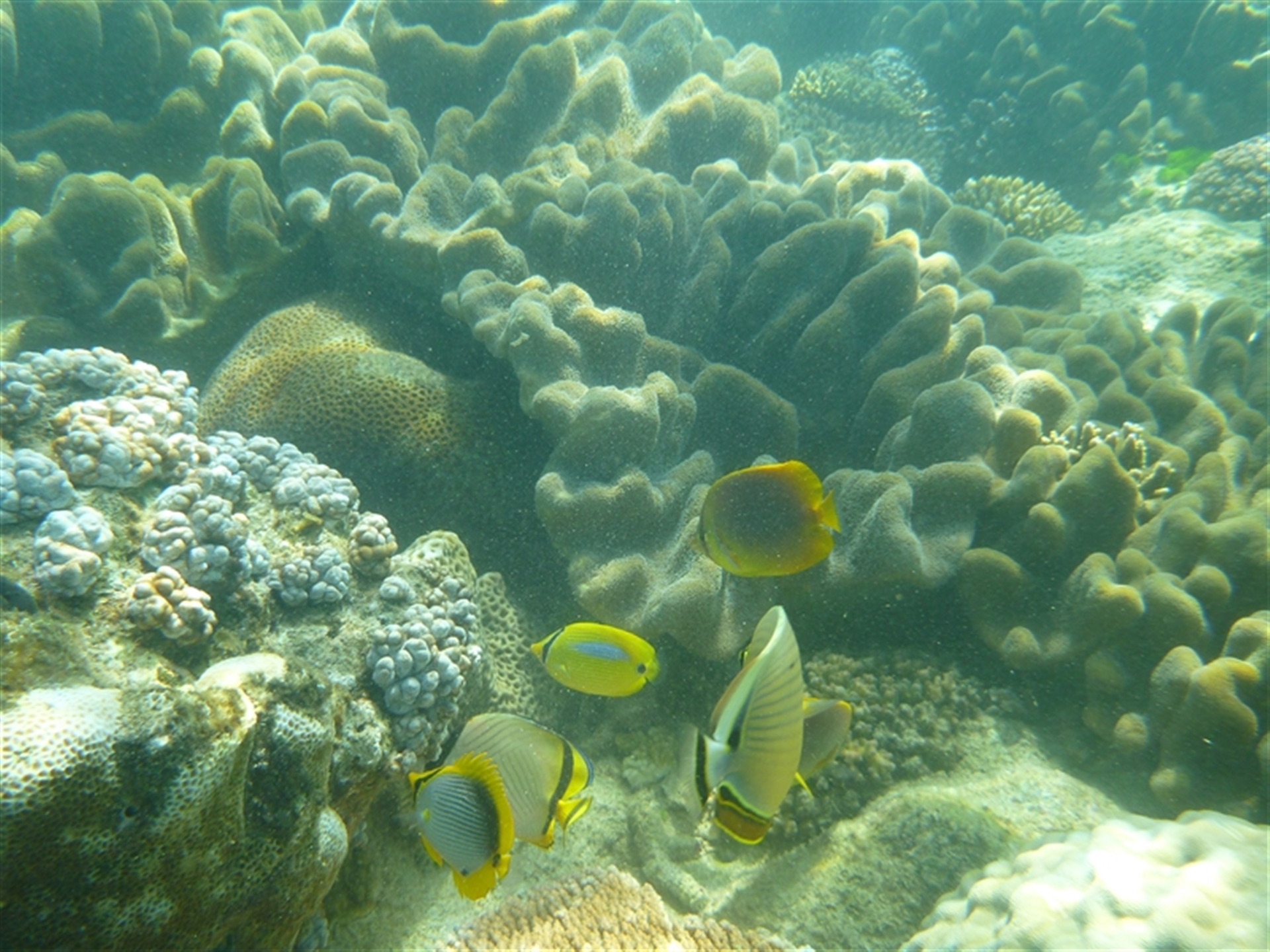
4 Pinstripe Butterflyfish at Palm Island, QLD

Chaetodon lunulatus at Palm Island, QLD - 5 Sep 2023 11:56 AM
Chaetodon lunulatus at Palm Island, QLD - 5 Sep 2023 11:56 AM
Request use of media

Identification history

Chaetodon lunulatus 26 Jun 2025 MichaelBedingfield
Chaetodon lunulatus 25 Jun 2025 LauraBailey

Identify this sighting


Please Login or Register to identify this sighting.

Be the first to comment


Please Login or Register to comment.

Location information

Sighting information

Additional information

  • 1m - 3m Depth of sighting

Species information

Record quality

  • Images or audio
  • More than one media file
  • Verified by an expert moderator
  • Nearby sighting(s) of same species
  • GPS evidence of location
  • Description
  • Additional attributes
832,253 sightings of 23,597 species from 15,357 members
CCA 3.0 | privacy
NatureMapr is developed by at3am IT Pty Ltd and is proudly Australian made