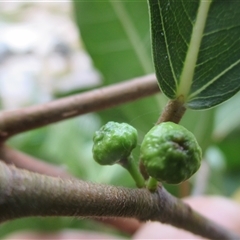
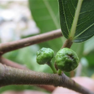
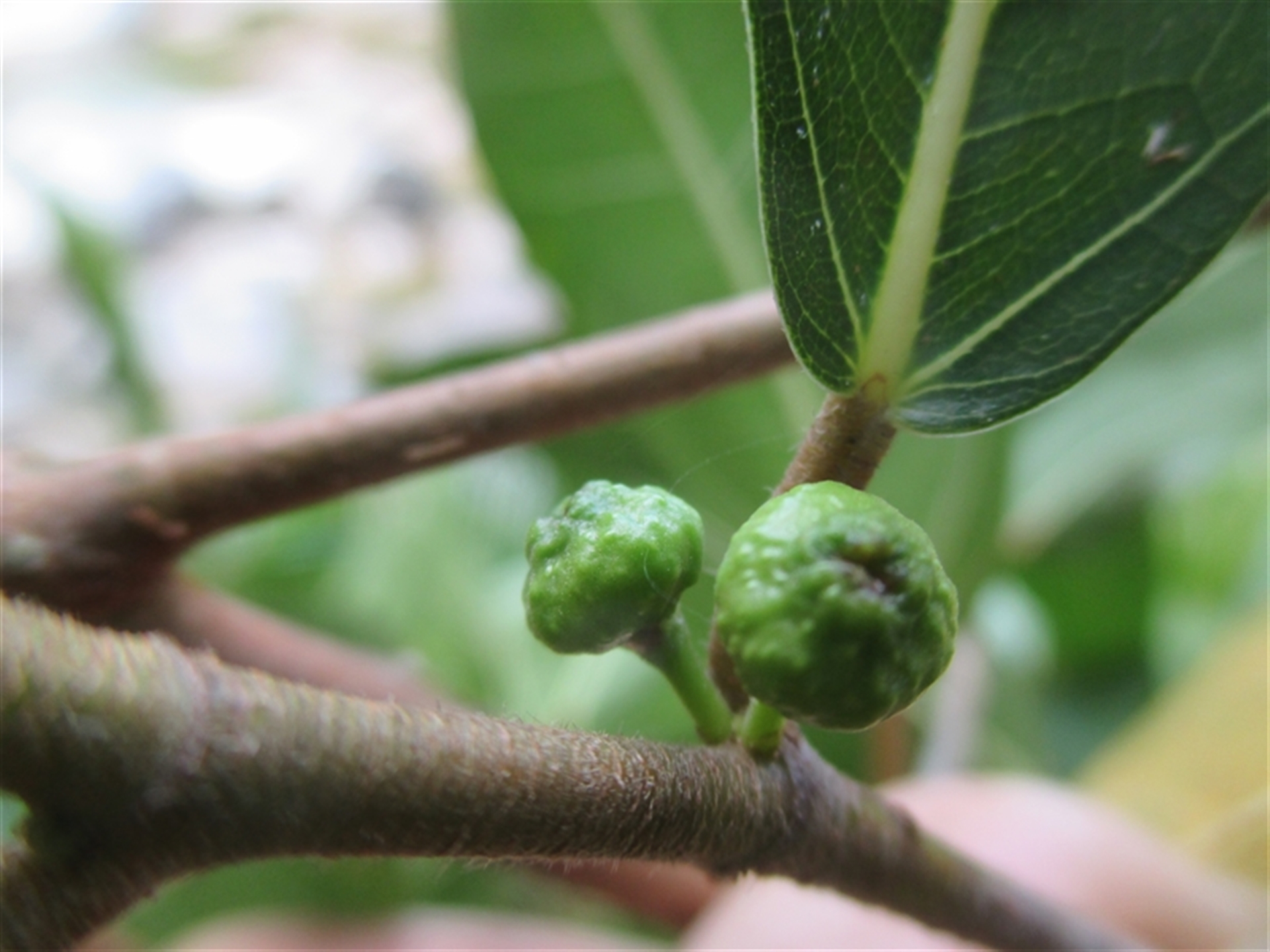
Ficus adenosperma

riverine fig at Mossman Gorge, QLD

Ficus adenosperma at Mossman Gorge, QLD - suppressed
Ficus adenosperma at Mossman Gorge, QLD - suppressed
Ficus adenosperma at Mossman Gorge, QLD - suppressed
Ficus adenosperma at Mossman Gorge, QLD - suppressed
Ficus adenosperma at Mossman Gorge, QLD - suppressed
Request use of media

Identification history

Ficus adenosperma 5 Dec 2025 JasonPStewart
Ficus adenosperma 5 Dec 2025 JasonPStewart

Identify this sighting


Please Login or Register to identify this sighting.

User's notes

_Ficus adenosperma_ tree . Healthy River edge rain forest, tree, rheophyte, including foliage, figs both young with signs of flowering on their insides and growing fruits not yet ripe, habit and habitat (shown in these photographs) . Mossman Gorge, private Yalanji Bama–bama community (restricted private land access, only if you have permission if wanting to visit) . 2017 October 11th 2:07–2:22 pm .

Be the first to comment


Please Login or Register to comment.

Location information

Sighting information

Additional information

  • Less than 50cm Circumference of trunk
  • 1 metre to 5 metres Plant height
  • True Fruiting
  • True Fruits growing still, ≥95% unripe
  • True New shoots growth prominent, incl. colourful
  • True In flower

Species information

Record quality

  • Images or audio
  • More than one media file
  • Verified by an expert moderator
  • Nearby sighting(s) of same species
  • GPS evidence of location
  • Description
  • Additional attributes
825,672 sightings of 23,496 species from 15,075 members
CCA 3.0 | privacy
NatureMapr is developed by at3am IT Pty Ltd and is proudly Australian made