A good reference:
https://anic.csiro.au/insectfamilies/
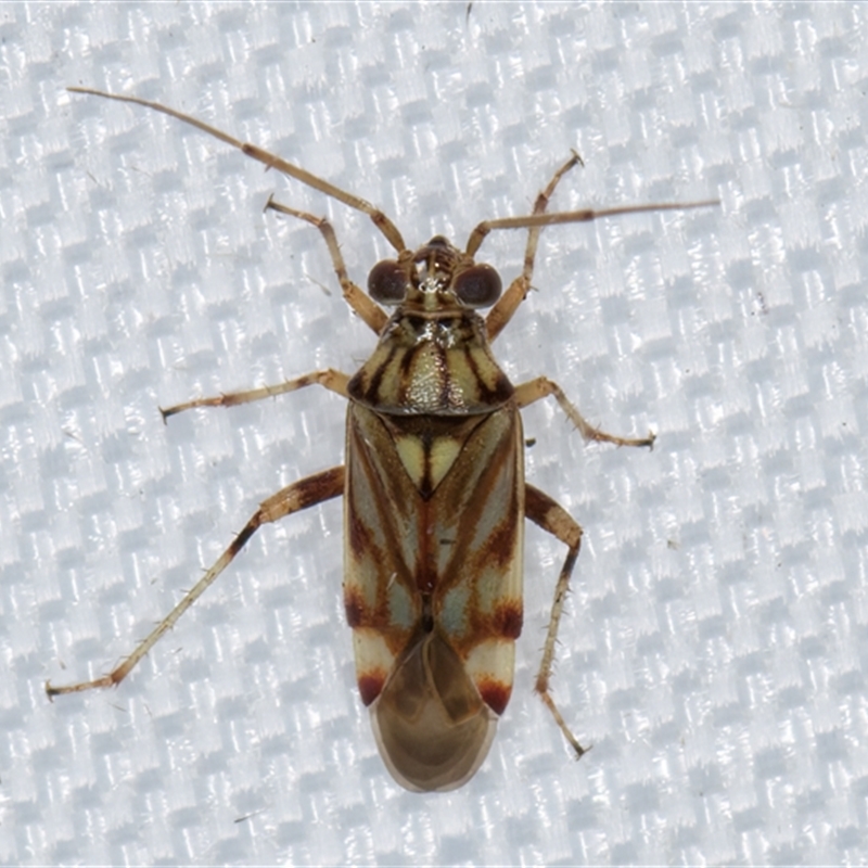
Adult
Fifth instar nymph
First instar nymph
Nymph and eggs
Nymph
1 ... 5 6 7 8 9 10 11 12 13 14 15
The requested information will be emailed to you in CSV format.
Terms of use
NatureMapr data export is a privilege provided to moderators.
By exporting NatureMapr data, you agree to:
Breach of terms will result in moderator privileges being revoked.
Your export is being prepared...
We'll email it to you as soon as it's ready.
Note: This process may take up to an hour.