Unverified

Can you identify this sighting?

Unverified at suppressed - suppressed
Unverified at suppressed - suppressed
Unverified at suppressed - suppressed
Request use of media

Identification history

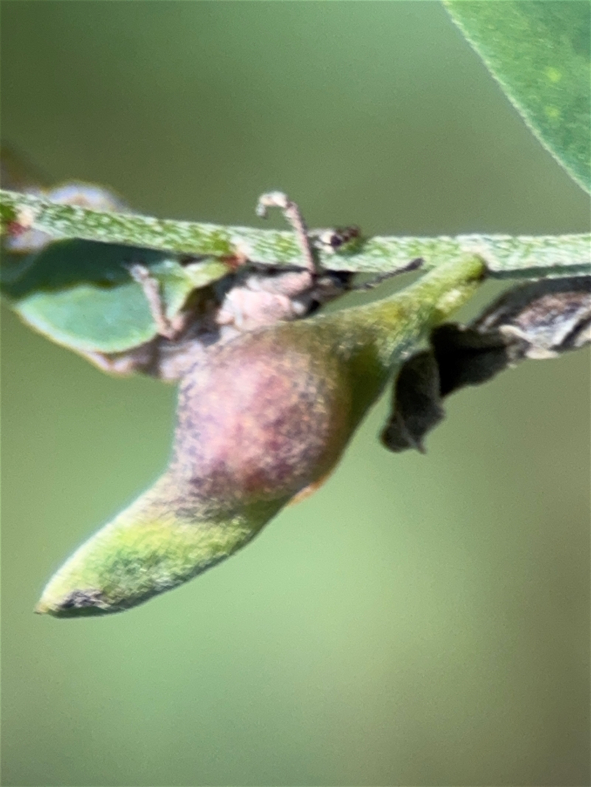
Acacia insect gall 18 Apr 2025 Hejor1

Identify this sighting


Please Login or Register to identify this sighting.

User's notes

a fly? 2nd pic maybe shows something emerging?

Be the first to comment


Please Login or Register to comment.

Sighting information

Additional information

  • Less than 5mm Animal size

Record quality

  • Images or audio
  • More than one media file
  • Verified by an expert moderator
  • Nearby sighting(s) of same species
  • GPS evidence of location
  • Description
  • Additional attributes
832,300 sightings of 23,597 species from 15,358 members
CCA 3.0 | privacy
NatureMapr is developed by at3am IT Pty Ltd and is proudly Australian made